Annonce Catégorie: Terrain
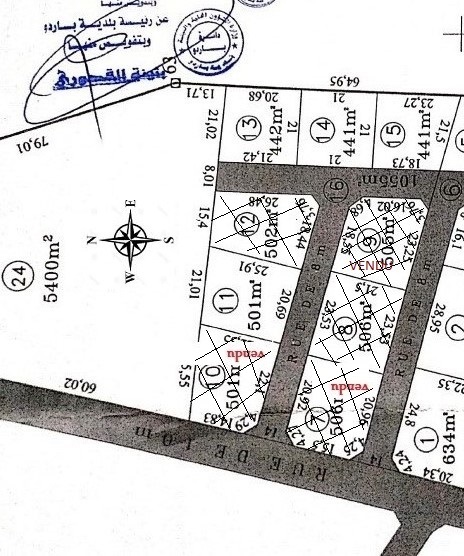
a vendre deux lots de terrains de 442 m2 ( lot n 13) et 501 m2 (lot n 11) situés au début de borj youssef à proximité de tunis city géant et cebalet ben ammar, un excellent emplacement davenir.
le prix de m2 est de 400 dt.
pour plus dinformations contactez le 98 366 224.
Chargement...
Aucun enregistrement trouvé
Désolé, aucun enregistrement n'a été trouvé. Veuillez modifier vos critères de recherche et réessayer.
Les cartes n'ont pas pu être chargées
Désolé, impossible de charger l'API Maps.

